Property Details
Ozark Divide Parcel P
- Off-grid
- Crushed limestone driveway
- Lockable gate
- No mobile homes
This 6.3 acres lies about a thousand feet east of, and fifty feet of elevation below, the Ozark Divide. The vegetation is an oak-and-hickory-dominated mixture of hardwoods. The terrain consists of fairly level plateaus on either side of a small hollow which guides rainwater to the south. The elevation ranges from around 1410’ to 1450’ above sea level. Typical of Ozark forest land, the topsoil is thin and rocky and the subsoil is red clay overburdening limestone bedrock.
We have cleared and leveled an approximately quarter-acre homesite at the end of a driveway that we’ve hardened with crushed rock. We’ve also added a sixteen-foot steel pipe gate hung on sturdy welded steel 5-inch posts driven two feet into the earth at the entrance to the parcel. There is also a welded steel fence corner where the north and south boundaries meet the access road.
The parcel is 3/10ths-mile from State Highway Y in Texas County, Missouri. The county seat, Houston, is 15.9 miles away, Cabool 14.3 miles. It’s about an hour and a half from here to Springfield and two and a half to St. Louis.
Size
Legal Description
Title
Access
Utilities:
Deed Restrictions:
Deed restrictions are restrictions on this property which have been recorded with the county, and which will remain in effect even when the property changes hands. Our contract, which expires when you no longer owe us money, contains certain requirements in addition to these.
Click HERE to see a Sample Contract
Taxes
Building codes and/or permits:
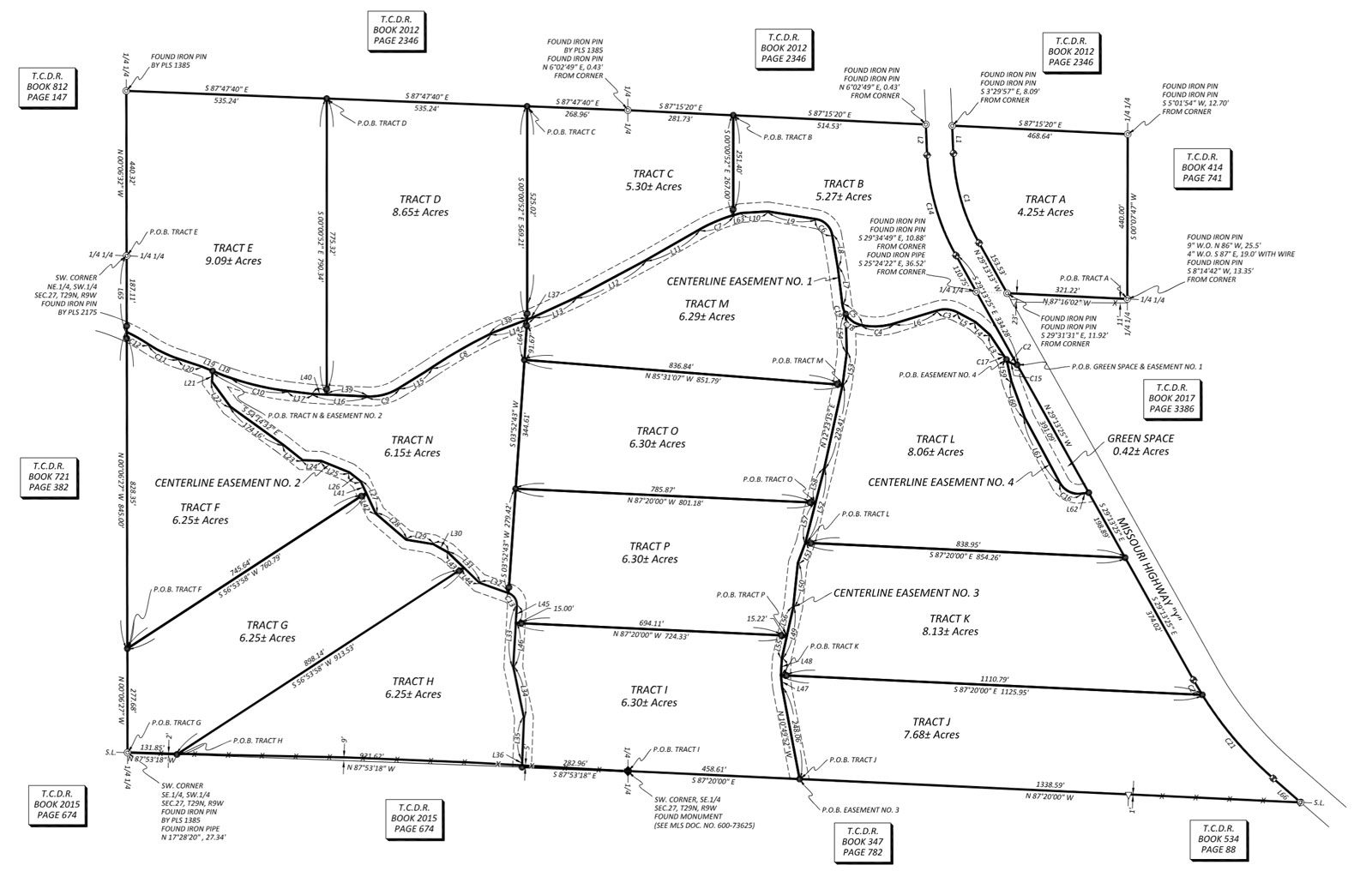
- 6.30 acres, surveyed and staked.
Legal Description
- Ozark Divide Parcel P: as shown on the Official Plat of Ozark Divide recorded in the Office of the Texas County Recorder, Houston, MO, Survey Book 2019S, Page 34, Instrument Number 201900034, all in Section 27, Township 29 North, Range 9 West.
Title
- We will pass Fee Simple Title to the purchaser conveying 100% of the ownership of the property including all timber, mineral and water rights. We own this property free and clear of all tax liens, judgments mortgages or other encumbrances. As purchaser, you are not assuming any existing liens. We will record a Warranty Deed to the property in your name after you have made six monthly payments.
Access
-
- The Ozark Divide Properties are accessed by Missouri State Highway Y, a two-lane asphalt highway 22 feet in width. Individual parcels are accessed by an unpaved rock-hardened roadway of one and two lanes.
Utilities:
- Water:
- We do not supply water or water systems to any of these properties. Purchasers of these parcels need to arrange to drill their own private water well. For information on drilling procedures you should contact local well-drillers. Permits are not required to drill water wells for single-family dwellings; however, you are required to hire a state-licensed well-driller.
- Electric:
- This parcel is off-grid. That is, electrical service has not been extended to the property. Commercial electricity is provided to the area by: Intercounty Electric Co-op, Licking, MIssouri, but lines have not been extended to the parcels. Intercounty charges 8 dollars per foot to extend electricity making them less competitive of private solar or wind installations.
- Telephone and Internet:
- Telephone and internet services are provided to Ozark Divide by CenturyLink1-800-201-4099. http://www.centurylink.com/ For cell phone service, we recommend US Cellular and for internet, a satellite provider.
- Septic:
- You may not take up occupancy until you provide sewage disposal for your property in the form of either:
- (A.) a septic tank and leach field, or (B.) a commercially manufactured composting toilet system.
- The State of Missouri says that any septic tank and leach field on less than three acres must be installed to Missouri Department of Natural Resources specifications. You can get information on these by speaking to the Health Department in your respective County Seat.
- Since they do not endanger the ground-water, properly operated and maintained composting toilets are not restricted, and thus are permitted at all locations.
- Garbage Disposal:
- Open dumping is illegal in the state of Missouri. Before occupying the property, you must make arrangements with a State-approved garbage collection company
- Gas:
- Propane gas is available from local dealers.
- Mail Delivery:
- Mail is delivered to Ozark Divide on Missouri Highway Y. To establish a mailbox there, contact the postmaster at the Cabool Post Office.
Deed Restrictions:
- No buildings shall be constructed within 100 feet of the centerline of the access road easement or within 30 ft. from a boundary.
- No refuse, debris, garbage, trash, unused building materials, old tires, or non-functioning vehicles shall be allowed to collect on the premises.
- You may keep whatever livestock or pets you wish so long as they are not allowed to create a nuisance to neighboring landowners, and are maintained in a healthy and humane manner.
- No parcel shall be further subdivided.
Deed restrictions are restrictions on this property which have been recorded with the county, and which will remain in effect even when the property changes hands. Our contract, which expires when you no longer owe us money, contains certain requirements in addition to these.
Click HERE to see a Sample Contract
Taxes
- $100 (estimate)
Building codes and/or permits:
- Texas County does not issue building permits and no building codes are in effect. The County Health Department must approve your septic system.
From Cabool, Missouri drive north on Highway 63 in 5 miles, turn right on State Highway H, Follow H through Elk Creek 7.5 miles to State Highway Y where you turn right again. Follow Y 1.7 miles to a broad driveway covered with white chat on your right. Follow this road back to make a sharp left turn at a “t” in the road, then downhill to the second gate on the right.
No Down Payment - Warranty Deed after Six Months
Welcome to OzarkLand.com where, since 1982, we have dedicated ourselves to making Ozark Mountain land available to anyone who sincerely wants to own it, on a first-come, first-served basis. You don’t need to make a sizeable down payment, or any down payment at all—just start making the monthly payments.All of the properties we sell are owned by us, free and clear. That means that when we pass title to you, you don't need to worry that some disinterested third party—such as a bank—may own an interest in the property. This is frequently not the case in the real estate world at large.
We give you a Warranty Deed guaranteeing the title—no lease-options, no long-term land contracts, but fee-simple title to the property after only six months' timely payments.
All of the properties featured in our inventory are available to you via our very liberal financing plan. In fact, we’ll finance your whole land purchase with less paperwork and frustration than you'd experience buying a used car, and with no hidden expenses and one low-interest rate that’s remained unchanged since 1982.
We'll set up a contract with you in return for one monthly payment. After six monthly payments, we give you a Warranty Deed to the property, and we hold a Deed of Trust and Quit-Claim Deed as security. We record the deeds at the county courthouse at our expense, and we pay all closing costs.
There are no penalties for pre-payment.
Terms are 9% simple interest for 15 years.
You may consider moving to the property after you have paid a $1,000.00 deposit. You must receive approval from us before moving any personal items to the property.
Requirements expected to be completed prior to moving, include:
1. Sign up with a local trash collector. Proof of paid invoice will be required.
2. Provide a septic tank and leach field approved by the County Health Department OR a commercially manufactured composting or incinerating toilet. Proof of paid invoice will be required.
3. Payments on all accounts with us must be current.
4. If placing a portable building on the property, provide us with the name and address of the vendor.
Check out the "How It Works" page for more information.
CLICK HERE TO BUY THIS PARCEL
- House
- 506.12 Bedrooms
- 6.30 acres


























